Company Logo

000 Veterans Dr, Florence, AL 00000

$21,000
  • 000 Veterans Dr, Florence, AL 00000 Main Photo

4 Total Photos [Click to View All]

Active
LOT SIZE 0.090 acres MLS#527621
STATUSActive PROPERTY TYPELand - Residential SUBDIVISIONNone

Property Description

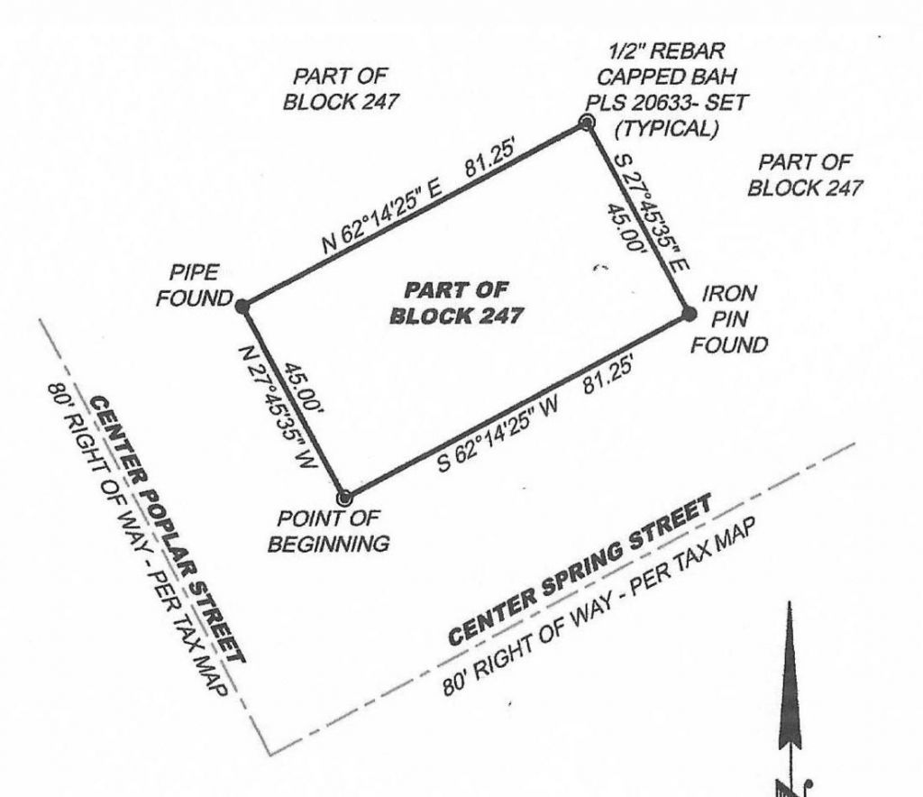
Zoned light industrial-commercial per city. Located corner of S. Poplar St and Veterans Dr. See survey in photos.

000 Veterans Dr | MLS# 527621

This land located at 000 Veterans Dr, Florence, AL is currently listed for sale with an asking price of $21,000. The property has approximately 0.09 Acres. Search Florence real estate on online.fusion2b.com today.

Property Features

Property Type: Land - Residential
Lot Size: 0.09 Acres
Taxes: $261

Feature Descriptions

City Limits Y/N: Yes
Days on Site: 18
Lot Dimensions: 81.25' x 45.00'
Parcel Number: 24-06-14-2-001-074.000
Sewer: Public Sewer
Water: Public
Zoning: I1

Local Schools

High School: City/County
Middle School: City/County
Elementary School: City/County

Listed By / Shown By

Listed By

Agency Name: Neese Real Estate

Shown By

Agency Title: Crye-Leike Real Estate Services
Agency Phone: 866-253-4666

IDX logo

Source: Shoals MLS

Estimate Your Payment

Estimated Payment

$ 74.61 per month $46.74 Principal & Interest $21.75 Property Tax $6.13 Homeowner's Insurance

Change Payment Information

%
years/fixed
yearly
yearly (est.)
(Payments are an estimate and may vary by lender)

Login to My Homefinder

Pixel