Company Logo
Refine Search

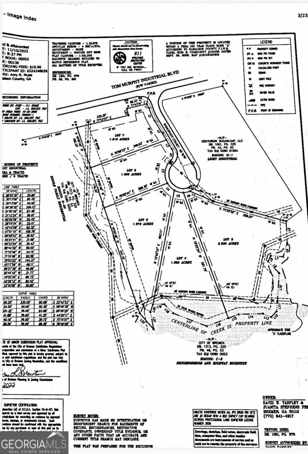
0 Murphy Ind Boulevard, Bremen, GA 30110

$399,900
  • 0 Murphy Ind Boulevard, Bremen, GA 30110 Main Photo

5 Total Photos [Click to View All]

New
MLS#10719143
STATUSNew PROPERTY TYPECommercial - Industrial NEIGHBORHOODBremen

Property Description

Prime industrial development in a growing location in Bremen.Located less than 2 miles off I-20. This 6.89-acre tract consist of Lot 3, Lot 4, and Lot 5 in Murphy Industrial Park, offering excellent potential for industrial or commercial use. Level topography with strong accessibility and convenient proximity to major transportation routes. Ideal for warehouse, distribution, or investment purposes. Located in an established industrial area with utilities nearby. Excellent opportunity for future growth in a developing corridor.

0 Murphy Ind Boulevard | MLS# 10719143

This commercial property located at 0 Murphy Ind Boulevard, Bremen, GA 30110 is currently listed for sale with an asking price of $399,900. Search Bremen real estate on online.fusion2b.com today.

Property Features

Property Type: Commercial - Industrial
Cooling: None
Heating: None
Lot Size: 6.89 Acres
Taxes: $1,196
Year Built: 1800

Feature Descriptions

Days on Site: 9
Sewer: Public Sewer
Topography: Industrial Park
Utilities: Sewer Available, Water Available, Electricity Available
Water: Public

Listed By / Shown By

Listed By

Agency Name: Rollins Realty
Agency Phone: 770-949-0000

Shown By

Agency Title: Crye-Leike Real Estate Services
Agency Phone: 866-253-4666

IDX logo

Source: GAMLS

Login to My Homefinder

Pixel