Company Logo

0 Co Rd 200, Florence, AL 00000

$67,000
  • 0 Co Rd 200, Florence, AL 00000 Main Photo

3 Total Photos [Click to View All]

Active
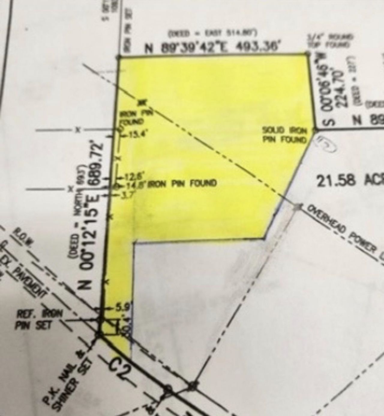
LOT SIZE 5.350 acres MLS#527399
STATUSActive PROPERTY TYPELand - Farm SUBDIVISIONLauderdale County NEIGHBORHOODCentral

Property Description

5.35 ACRES in Central Community. Non Restrictive. Plat on file. Survey on file, and available to buyer at closing. (Note: when viewing the property, the Green Metal gate is the entrance. The camper and other structure are not on this property. Their access is from the Orange gate. The subject property is to the left of the camper)See plat and Survey included with photos.

0 Co Rd 200 | MLS# 527399

This land located at 0 Co Rd 200, Florence, AL is currently listed for sale with an asking price of $67,000. The property has approximately 5.35 Acres. Search Central real estate on online.fusion2b.com today.

Property Features

Property Type: Land - Farm
Lot Size: 5.35 Acres
Taxes: $0

Feature Descriptions

City Limits Y/N: No
Days on Site: 30
Lot Dimensions: 5.35 Acres
Parcel Number: 15-09-30-0-000-014.003
Zoning: R1

Local Schools

High School: Central
Middle School: Central
Elementary School: Central

Listed By / Shown By

Listed By

Agency Name: Renaissance Realty

Shown By

Agency Title: Crye-Leike Real Estate Services
Agency Phone: 866-253-4666

IDX logo

Source: Shoals MLS

Estimate Your Payment

Estimated Payment

$ 168.65 per month $149.11 Principal & Interest $0.00 Property Tax (data not provided by mls) $19.54 Homeowner's Insurance

Change Payment Information

%
years/fixed
yearly
yearly (est.)
(Payments are an estimate and may vary by lender)

Login to My Homefinder

Pixel